山竹台风是哪一年发生的?
详细内容
- 01
2018年
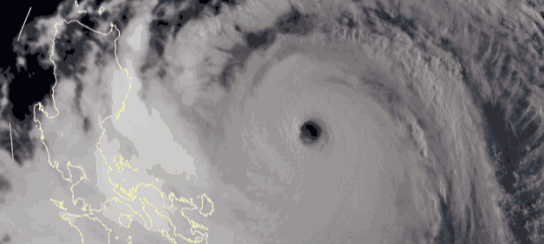
超强台风山竹(Super Typhoon Mangkhut,国际编号:1822,联合台风警报中心:26W)为2018年太平洋台风季第22个被命名的风暴。

超强台风“山竹”(泰语:มังคุด)一名由泰国提供,是一种水果。台风山竹导致香港天文台和澳门气象局连续两年发出十号热带气旋警告信号。亦是自1983年台风爱伦以来,香港发出十号飓风信号之中,生成位置最东的一个。
2018年9月4日,一个低压区在国际换日线以西海域形成,美国海军研究实验室给予热带扰动编号99W。
2018年9月6日凌晨,联合台风警报中心给予评级“低”,并于同日晚上给予评级“中”。

2018年9月7日凌晨,联合台风警报中心将评级提升为“高”,并发布热带气旋形成警报,更于同日上午11时将其升格为热带低压,给予热带气旋编号26W。
2018年9月7日8时,日本气象厅将其升格为热带低压,并在同日下午12时05分对其发布烈风警报。晚间9时15分,日本气象厅将其升格为热带风暴,给予国际编号1822,并命名为山竹。

2018年9月8日凌晨5时和晚上8时,联合台风警报中心和中国国家气象中心分别将其升格为热带风暴。
2018年9月9日凌晨2时,国家气象中心率先将其升格为强热带风暴,日本气象厅45分钟后也将其升格为强热带风暴。同日上午8时,国家气象中心将其升格为台风;日本气象厅和联合台风警报中心也分别在同日上午8时45分和上午11时跟随,中央气象局也在同日上午8时将其升格为中度台风。此时,山竹继续吸收海水中的能量,扺挡干空气并发展出“云卷风眼”,低层风眼亦显示在微波图像上。
2018年9月10日,山竹继续向西偏南移动,在关岛附近海域掠过。多个气象机构的预测分歧都逐渐收窄,均预测山竹会经过巴士海峡或掠过台湾南部,移入南海北部,对该区构成威胁。山竹在同日上午8时进入香港天文台责任范围,香港天文台评定其为台风。同时,山竹继续受到干空气入侵,并移到风切变较为强的海域,令它发展迟缓,迟迟未能开启风眼,但国家气象中心和香港天文台在晚上8时仍然将其升格为强台风。
2018年9月11日,中国国家气象中心和韩国气象厅率先将其升格为超强台风,而台湾地区气象部门也在不久后将其升格为强烈台风。
2018年9月15日凌晨1时40分,台风"山竹"从菲律宾北部登陆,接近中午时已经离开陆地,以每小时25公里速度吹向南海。
2018年15日9时30分,台风“山竹”移入南海东北部,16时,“山竹”中心位于距离广东省阳江市东偏南方向约850公里的南海东北部海面上,并向西偏北方向移动,继续向广东沿海靠近。

2018年9月15日下午6时,澳门地球物理暨气象局挂出3号风球。
2018年9月16日08时,台风“山竹”距离广东台山东偏南方向约345公里(强台风级,15级,50米/秒)。
2018年9月16日17时,第22号台风“山竹”(强台风级)在广东台山海宴镇登陆,登陆时中心附近最大风力14级(45米/秒,相当于162公里/小时),中心最低气压955百帕。
2018年9月17日17时,台风“山竹”已减弱为热带低压,到达广西百色市境内,强度继续减弱并远离广东省。
2018年9月17日下午,台风“山竹”在广西西部减弱为热带低压,此后继续向西偏北方向移动,强度进一步减弱,目前已经很难确定其环流中心,中央气象台18日晚上20点钟停止对其编号。
